Categorie
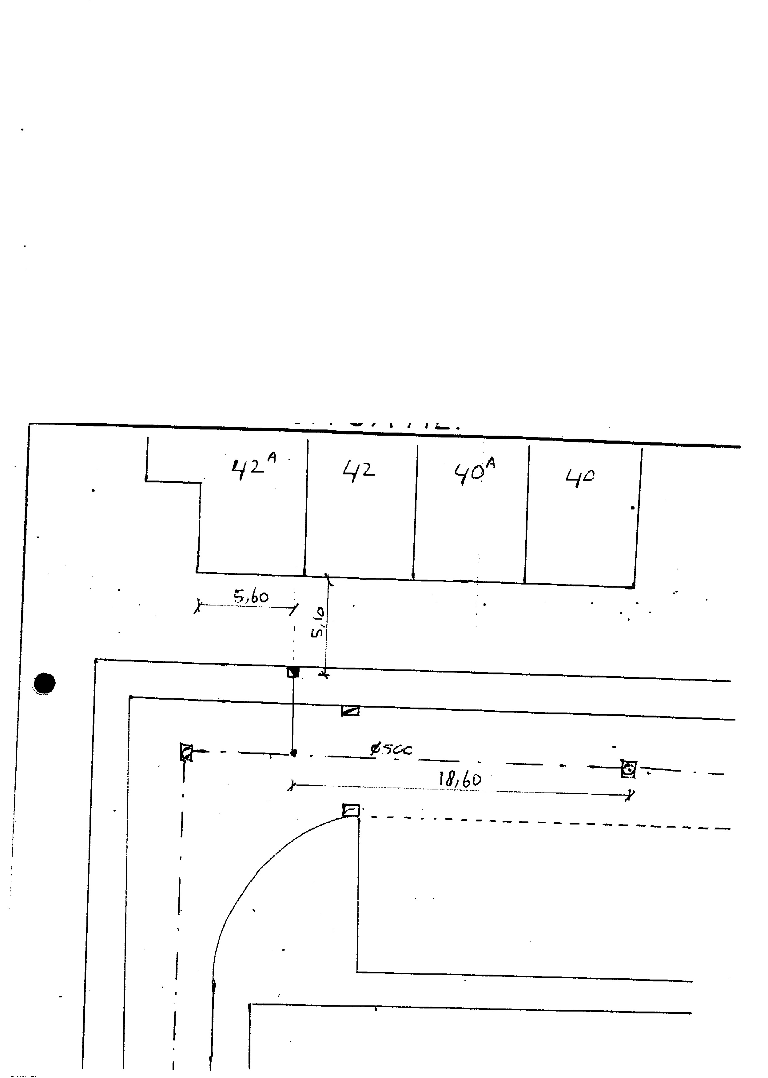
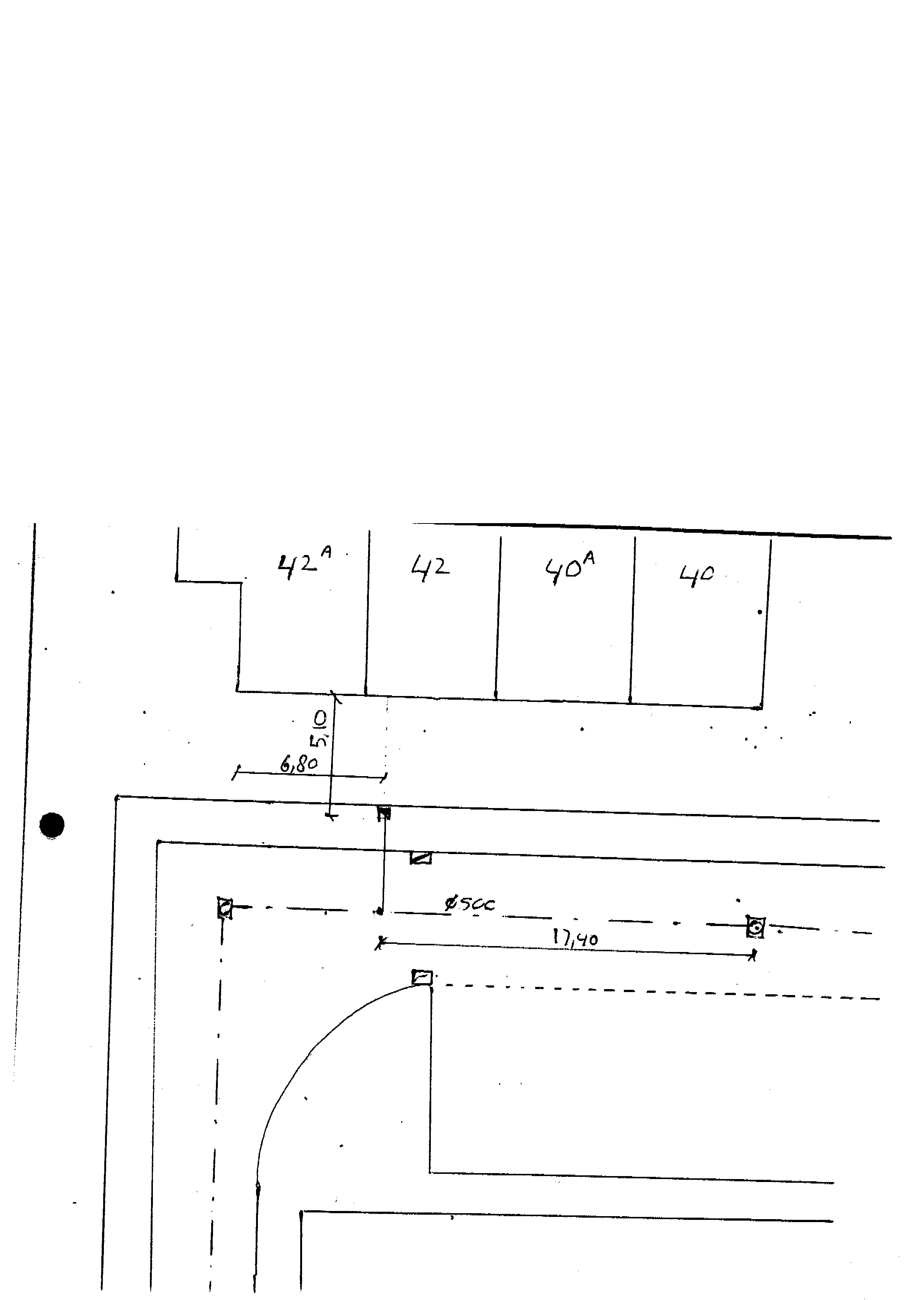
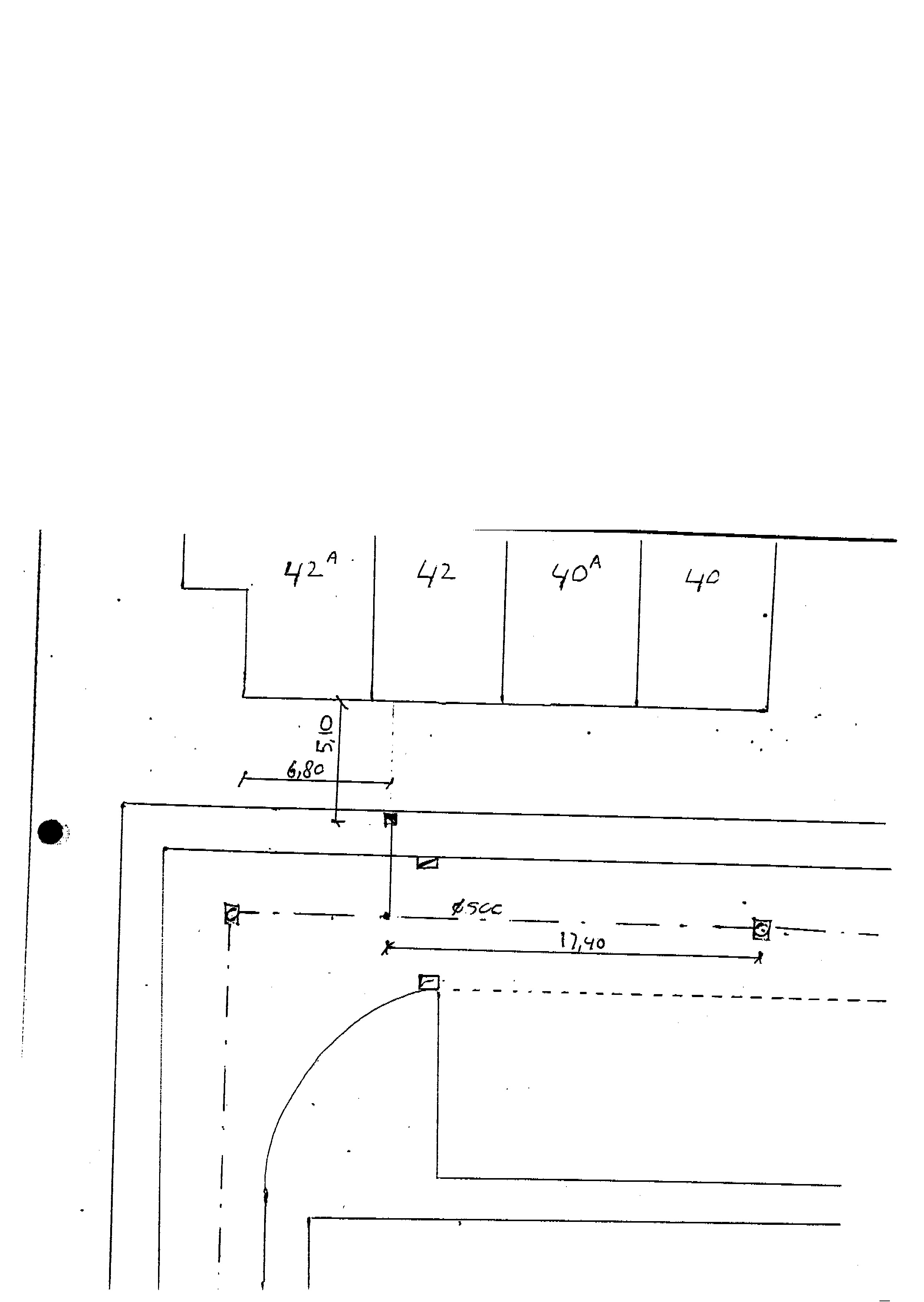
Utility Mapping
About this project

Client : German
Project : Sewage Utility network mapping
Input : Field measurement survey, Topo map, Ortho photo